Description


Primal Features

Consegna
Libero
Property Conditions
Good
Free Sides
2
Furniture
Not Furnished
Heating
Central
Heating Type
Tele Heating
Type of heating system
Air heating
Energy source
Gas
Hot Water
Independent
Cooling
Fan Coil
Caution
Three Months
Advance Rent
One Month
Type of Contract
6+6 Years
Registr. Type
Traditional
MV
Yes
Accessories: Air Conditioning, Elevator, Double Glazing

Map

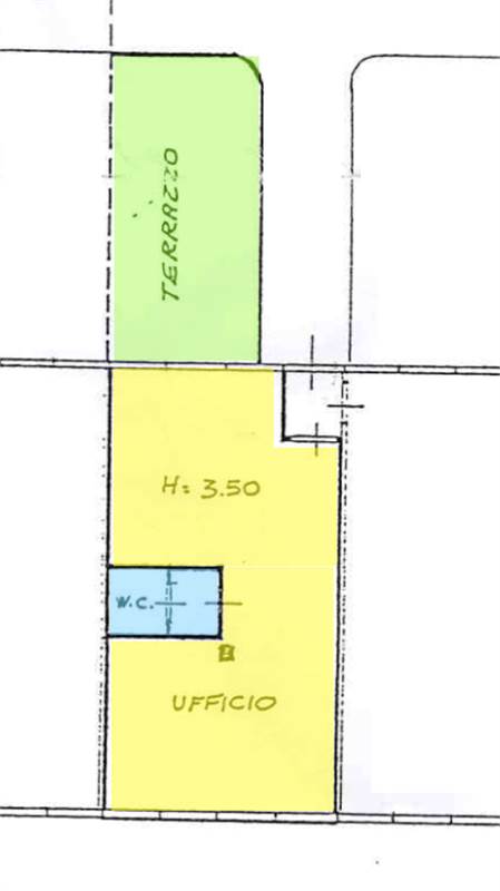
viale de gasperi 56/B, Crema (CR)

Information request

Send
Cookie preference