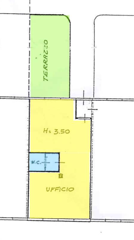
Description


Primal Features

Consegna
Libero
Property Conditions
Good
Free Sides
2
Furniture
Not Furnished
Heating
Central
Heating Type
Tele Heating
Type of heating system
Air heating
Energy source
Gas
Hot Water
Independent
Cooling
Fan Coil
MV
Yes
Accessories: Air Conditioning, Elevator, Double Glazing

Map

viale de gasperi 56/B, Crema (CR)

Information request

Send
Cookie preference